KO
로그인
집
주제
현재 이벤트
정치 체제
현지의
이벤트
관광 여행
행복한 베트남
사업
제품
유산
박물관
수치
멀티미디어
데이터
풍력 발전
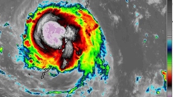
슈퍼태풍 라가사, 17도 이상 돌풍으로 동해 접근
Báo Lâm Đồng
22/09/2025
동해의 저기압권이 열대저기압으로 강화되었습니다.
Báo Sài Gòn Giải phóng
27/08/2025
총리는 5호 폭풍에 대한 강력한 대응을 계속 지시하고 있습니다.
Báo Sài Gòn Giải phóng
25/08/2025
긴급 폭풍 소식: 16단계 돌풍을 동반한 5호 폭풍이 Thanh Hoa에서 Quang Tri에 이르는 지방의 본토로 직접 이동 중입니다.
Báo Nghệ An
24/08/2025
총리는 긴급 지시를 내렸습니다: 5호 폭풍에 최고의 의지로 대응하세요
Báo Sài Gòn Giải phóng
23/08/2025
열대저기압이 동해 북서쪽으로 이동
Báo Sài Gòn Giải phóng
17/08/2025
3호 폭풍이 강타하고, 다낭시가 해상 강풍에 대응하기 위해 전보를 발송했습니다.
Báo Đà Nẵng
19/07/2025
2호 폭풍으로 북동해 일대에 15레벨 돌풍 발생
Báo Sài Gòn Giải phóng
06/07/2025
폭풍 2호가 북북동 방향으로 강화되고 이동 중입니다.
Báo Sài Gòn Giải phóng
05/07/2025
자메이카와 케이맨 제도에 열대성 폭풍 경보 발령
Việt Nam
04/11/2024
플로리다에 시속 200km에 달하는 강풍과 "천 년에 한 번" 내리는 폭우를 동반한 초대형 폭풍 밀턴이 강타했습니다.
Người Đưa Tin
10/10/2024
풍속 180km/h, 폭풍 베빈카는 "비정상적인" 방향으로 상륙할 것으로 예상
Việt Nam
15/09/2024
풍력을 이용한 친환경 해상 운송의 추세
Báo Sài Gòn Giải phóng
05/09/2024